UNOFFICIAL Bexley meeting mirror

name size
84 N. Cassingham elevations.pdf 4.55M
84 N. Cassingham aerial view.JPG 94.1K
84 N. Cassingham Photos Elliott Garage.pdf 5.44M
471 Northview Dr._Kucherski_Fence_v01_Wed_Jul_8_2020_12-02-34.pdf 179.2K
471 Northview Dr. Kucherski_FencePersp.pdf 1.22M
471 Northview Caroline view.PNG 1.05M
2412_Brentwood_fence_at_rear_Thu_Aug_20_2020_12-08-19.png 1.48M
2412_Brentwood_fence_at_rear_Thu_Aug_20_2020_12-08-19.pdf 1.34M
2412 Brentwood landscpae plan.png 3.24M
2412 Brentwood landscpae plan.pdf 3.44M
2412 Brentwood fence.pdf 1.35M
2412 Brentwood 2.pdf 2.00M
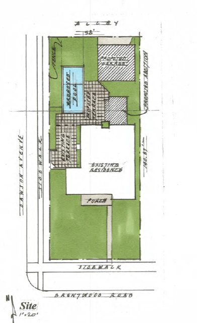
2412 Brentwood - site plan.png 299.8K